Siêu bão Meranti giật trên cấp 17 đang hoạt động trên vùng biển ngoài khơi Tây Bắc Thái Bình Dương. Do ảnh hưởng của siêu bão Meranti, vùng biển phía Đông Bắc Biển Đông có gió giật mạnh dần lên cấp 10-14, vùng gần tâm bão đi qua giật trên cấp 17.[mecloud]F7eZmwPBXk[/mecloud]
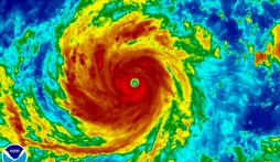
Theo tin bão mới nhất từ Trung tâm Khí tượng Thủy văn Trung ương, một siêu bão có tên quốc tế là Meranti đang hoạt động trên vùng biển ngoài khơi Tây Bắc Thái Bình Dương. Hồi 10 giờ ngày 13/9, vị trí tâm bão ở vào khoảng 19,8 độ Vĩ Bắc; 125,0 độ Kinh Đông, cách đảo Lu Dông khoảng 350km về phía Đông Bắc. Sức gió mạnh nhất ở vùng gần tâm bão mạnh cấp 17 (200-220km/giờ), giật trên cấp 17.
Siêu bão Meranti giật trên cấp 17 tiến sát Biển Đông |
Dự báo trong 24 giờ tới, siêu bão Meranti di chuyển theo hướng Tây Bắc, mỗi giờ đi được khoảng 20km. Đến 10 giờ ngày 14/9, vị trí tâm bão ở vào khoảng 21,1 độ Vĩ Bắc; 120,0 độ Kinh Đông, trên vùng biển phía Đông Bắc Biển Đông. Sức gió mạnh nhất ở vùng gần tâm bão mạnh cấp 17, giật trên cấp 17.
Nên đọcTrong 24 đến 48 giờ tiếp theo, bão có khả năng đổi hướng di chuyển theo hướng Tây Bắc, mỗi giờ đi được 15-20km. Đến 10 giờ ngày 15/9, vị trí tâm bão ở vào khoảng 23,2 độ Vĩ Bắc; 116,7 độ Kinh Đông, trên vùng bờ biển phía Đông Nam tỉnh Quảng Đông (Trung Quốc). Sức gió mạnh nhất ở vùng gần tâm bão mạnh cấp 15 (165-185km/giờ), giật trên cấp 17.
Do ảnh hưởng của siêu bão, từ sáng 14/9, vùng biển phía Đông Bắc Biển Đông có gió mạnh dần lên cấp 10-14, vùng gần tâm bão đi qua cấp 15-17, giật trên cấp 17. Biển động dữ dội.
Trong 48 đến 72 giờ tiếp theo, bão di chuyển theo hướng Tây Bắc, mỗi giờ đi được khoảng 10km.
H.Yên (Tổng hợp)
