Các bản đồ mới có độ phân giải cao về đáy biển nằm giữa Tasmania và Nam Cực đã tiết lộ một chuỗi núi lửa dưới nước có đỉnh cao chót vót có thể điêu khắc các dòng hải lưu phía trên.
Các núi lửa dưới biển, hay núi ngầm, nằm ở độ cao 13.000 feet (4.000 mét) bên dưới các con sóng và nằm ngay trên đường đi của dòng hải lưu mạnh nhất trên Trái đất – Dòng hải lưu vòng Nam Cực – chảy theo chiều kim đồng hồ quanh Nam Cực và hoạt động như một rào cản giúp giữ băng giá lục địa đóng băng. Giờ đây, các nhà khoa học đã lập bản đồ một khu vực nơi hàng rào này dường như bị rò rỉ, tạo điều kiện cho những dòng nước ấm xoáy đến bờ Nam Cực.
Benoit Legresy, nhà khoa học trưởng trong đoàn thám hiểm lập bản đồ và là nhà khoa học về mực nước biển tại Đại học Tasmania, cho biết: “Khu vực này là một “cửa ngõ nơi nhiệt được truyền tới Nam Cực, góp phần làm băng tan và mực nước biển dâng cao”.
Theo tuyên bố, vụ rò rỉ không phải là mới, nhưng các nhà khoa học hy vọng các bản đồ mới có thể giúp dự đoán vụ rò rỉ sẽ phát triển như thế nào khi đại dương ấm lên do biến đổi khí hậu và nước tan chảy vào Nam Đại Dương.
Liên quan: Các dòng hải lưu ở Nam Cực cung cấp chất dinh dưỡng và oxy cho 40% đại dương sâu thẳm của thế giới đang chậm lại đáng kể
Legresy và các đồng nghiệp của ông đã thu thập dữ liệu đại dương bên trong dòng hải lưu tuần hoàn từ trên tàu nghiên cứu "Investigator" của Australia. Họ cũng sử dụng vệ tinh Địa hình Đại dương và Nước bề mặt (SWOT) mới của NASA và Trung tâm Nghiên cứu Vũ trụ Quốc gia Pháp, để đo chiều cao của bề mặt đại dương từ không gian để thu thập những gì nằm bên dưới.
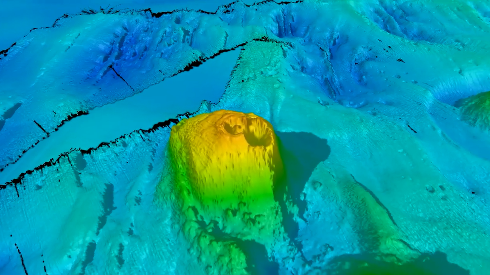
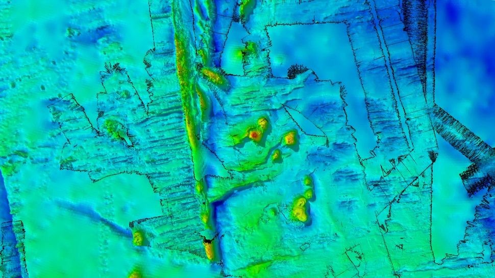
Các phép đo vệ tinh cho thấy một dãy núi trong khu vực khảo sát, trải rộng 7.700 dặm vuông (20.000 km vuông) thuộc khu vực phía tây Đảo Macquarie và Macquarie Ridge có hoạt động kiến tạo.
Christopher Yule, nghiên cứu sinh tiến sĩ về địa vật lý biển: “Thật vui mừng khi chúng tôi đã phát hiện ra một chuỗi núi lửa cổ xưa ngoạn mục, bao gồm 8 ngọn núi lửa không hoạt động với đỉnh cao tới 1.500 m và một ngọn có miệng phun đôi.” tại Đại học James Cook ở Úc, một phần của chuyến thám hiểm, cho biết trong tuyên bố. Yule cho biết bốn trong số các núi ngầm này là mới đối với khoa học.
Theo tuyên bố, các núi lửa được hình thành cách đây 20 triệu năm và có khả năng đóng vai trò định hình các dòng hải lưu quanh Nam Cực. “Dòng hải lưu vòng Nam Cực 'cảm nhận' được đáy biển và những ngọn núi trên đường đi của nó, đồng thời khi nó gặp phải những rào cản như rặng núi hoặc núi ngầm, 'những gợn sóng' được tạo ra trong dòng nước," Helen Phillips, nhà khoa học đồng trưởng trong chuyến đi và cho biết. một phó giáo sư hải dương học tại Đại học Tasmania, cho biết trong tuyên bố.
Những chuyển động lắc lư này tạo thành các dòng xoáy, hay dòng chảy tròn tách ra khỏi dòng hải lưu. Phillips cho biết: “Dòng xoáy giống như hệ thống thời tiết của đại dương, đóng vai trò chính trong việc vận chuyển nhiệt và carbon từ thượng nguồn đại dương đến các lớp sâu hơn – một vùng đệm quan trọng chống lại sự nóng lên toàn cầu”. “Kiến thức về độ sâu và hình dạng của đáy biển là rất quan trọng để chúng ta định lượng ảnh hưởng của các ngọn núi, đồi và thung lũng dưới đáy biển đối với Dòng hải lưu Nam Cực và sự rò rỉ nhiệt tới Nam Cực.”
Cuối cùng, việc lập bản đồ Nam Đại Dương sẽ cung cấp manh mối về mức độ băng tan ở Nam Cực và giúp dự đoán mực nước biển dâng cao, Phillips nói thêm.
