Cơn bão (có tên Bising tại Philippines) này là mới nhất mạnh lên nhanh chóng mà theo các nhà khoa học là do nguyên nhân của biến đổi khí hậu. Theo dự báo, siêu bão Surigae sẽ đổichiều ở ngoài khơi đông bắc Philippines, giúp đất nước này tránh khỏi những thiệt hại tồi tệ nhưng vẫn sẽ gây mưa lớn, biển động và gió giật mạnh tại một số khu vực. Bão cũng có thể làm thay đổi một số hình thái thời tiết ở Bắc Mỹ trong vài tuần tới.
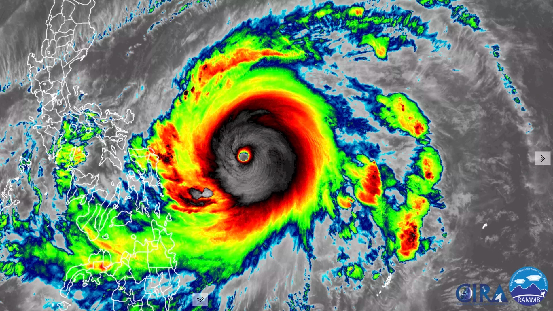
Siêu bão Surigae là cơn bão cấp 5 đầu tiên xảy ra trong năm 2021. Thông thường, mỗi năm khắp thế giới sẽ chứng kiến khoảng 18 cơn bão cấp 4 và 5. Bão đã mạnh từ cấp 1 với vận tốc 144 km/h lên cấp 5 với vận tốc 289km/h. Sau đó, chỉ trong vòng 24 tiếng, bão mạnh lên vận tốc 305km/h vào tối 17/4.
Cho đến sáng nay, iêu bão Surigae tiếp tục duy trì gió ở mức 205 km/h và áp sát Philippines. Hiện sức mạnh của Surigae đã gần bằng với Siêu bão Haiyan lịch sử năm 2013, tàn phá đất nước này.
Theo cập nhật từ Trung tâm Dự báo Khi tượng Thủy văn Quốc gia, vào 7h sáng nay, siêu bão Surigae đang ở khoảng 13,5 độ vĩ bắc, 127,6 độ kinh đông, cách bờ biển miền trung Philippines khoảng 420km về phía đông. Sức gió mạnh nhất gần tâm bão mạnh cấp 17, giật trên cáp 17. Mặc dù siêu bão Surigae ít có khả năng đi vào biển Đông nhưng sẽ gây gió mạnh cấp 6 - cấp 7, giật cấp 8 ở Biển Đông.
