Tin tức nước Mỹ
Tin tức nhanh nhất và đầy đủ nhất về Tin tức nước Mỹ. Mời các bạn đón đọc các bài viết về Tin tức nước Mỹ và chia sẻ thông tin Tin tức nước Mỹ
Cơn ác mộng về khách sạn ma quái và bí ẩn bậc nhất nước Mỹ, nơi giăng bẫy của tên tội phạm từng khiến cả thế giới lạnh người
24-11-2018 | 09:20
Trong khách sạn ma quái được gọi là "lâu đài giết người" với 100 căn phòng ấy chứa đầy những cái cửa bẫy, những buồng ga, những lối cầu thang không dẫn đến đâu và một căn hầm ẩn chứa bí mật kinh hoàng.
22-11-2018 | 13:55
Cháy rừng ở California: Khói bụi lan xa gần 5.000 km, tới bờ Đông nước Mỹ
25-10-2018 | 10:50
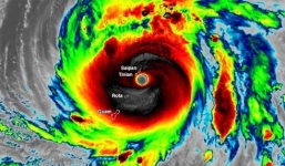
Siêu bão mạnh nhất tấn công nước Mỹ kể từ năm 1950
11-10-2018 | 11:13
Miền Nam nước Mỹ hứng "siêu bão" mạnh nhất thế kỷ
04-10-2018 | 09:12
Tỷ phú Hoàng Kiểu - tình cũ của Ngọc Trinh rớt khỏi nhóm giàu nhất nước Mỹ
22-09-2018 | 19:50
Các nước Mỹ Latinh ca ngợi vai trò của Chủ tịch nước Trần Đại Quang
24-08-2018 | 19:55
Hy hữu: Câu được cá sư tử khổng lồ xôn xao nước Mỹ
09-08-2018 | 13:55
Cha ném thi thể con gái 7 tháng tuổi xuống sông gây chấn động nước Mỹ
17-07-2018 | 10:42
Hành trình 15 năm nuôi râu của cô gái nam tính nhất nước Mỹ
14-06-2018 | 16:54
Trump chỉ đích danh kẻ thù lớn nhất của nước Mỹ
17-05-2018 | 11:15
Nước Mỹ mạnh nhất thế giới, mà vẫn cần hiệp sĩ
10-05-2018 | 10:42
Kẻ bị săn lùng toàn nước Mỹ suốt 40 năm từng là… cảnh sát
14-04-2018 | 18:25
Đây là thời điểm nước Mỹ cần mở cửa đón nhận những người tị nạn Syria