(Tinmoi.vn) Cơ quan khí tượng Nhật Bản (JMA) cho hay một cơn bão với cường độ được cho là mạnh nhất trong khoảng 15 năm qua đang tiến vào phía bắc Nhật Bản, mang theo mưa lớn và gió mạnh.
JMA nhận định Neoguri sẽ trở thành cơn bão siêu mạnh khi chính thức đổ bộ vào đảo Kyushu trong ngày mai (8/7). Siêu bão được mô tả là “mạnh nhất trong nhiều thập kỷ” đang hướng đến phía Bắc của Nhật Bản. Cơn bão này được dự đoán sẽ quét qua đảo Okinawa với mưa lớn và gió giật mạnh cho đảo trước khi đổ bộ vào Kyushu – hòn đảo nằm ở phía Tây Nam và là một trong 4 đảo chính của Nhật Bản.
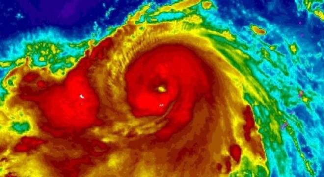
Có tên gọi Neoguri, siêu bão đang có sức gió 250km/giờ và sẽ mạnh lên khi di chuyển về phía Bắc. Cơ quan khí tượng Nhật Bản (JMA) nhận định Neoguri sẽ trở thành cơn bão siêu mạnh khi chính thức đổ bộ trong ngày mai. JMA cho biết cơn bão đang ở phía Nam Okinawa nhưng đang di chuyển về hướng Tây Bắc với tốc độ 20km/giờ. Cơ quan này cũng đưa ra cảnh báo sóng lớn và mưa to.

Neoguri là cơn bão mạnh nhất đổ bộ vào Nhật Bản trong vòng 15 năm qua
Bão có thể tiếp tục mạnh lên và dự kiến quét qua chuỗi đảo Okinawa trước khi đổ bộ vào Kyushu, hòn đảo chính ở cực tây Nhật Bản. Cơ quan Khí tượng nước này cảnh báo người dân ở Okinawa nên sơ tán sớm và có các biện pháp đề phòng để đảm bảo an toàn. Những hình ảnh trên truyền hình cho thấy các ngư dân đang neo lại thuyền bè. .
Dẫu vậy, Neoguri không thể mạnh bằng Haiyan – siêu bão đã khiến hàng nghìn người Philippines thiệt mạng hồi năm ngoái.
Ở Okinawa không có nhà máy điện hạt nhân nào. Tuy nhiên, có hai nhà máy ở Kyushu và một nhà máy ở đảo Shikoku – đảo gần với Kyushu – và có thể bị ảnh hưởng.
Chỉ huy của căn cứ không quân Kadena, một trong những căn cứ quân sự lớn nhất của Mỹ ở Okinawa, cảnh báo gió lớn có thể gây thiệt hại cho cơ sở này vào sáng sớm mai.
"Tôi không thể mô tả đầy đủ cơn bão này nguy hiểm như thế nào khi nó tấn công Okinawa. Đây là cơn bão mạnh nhất đánh vào đảo trong 15 năm qua", tướng James Hecker viết trên trang Facebook của căn cứ.
Ông khuyến cáo các binh sĩ trong căn cứ đảm bảo cho các trang thiết bị ngoài trời và chuẩn bị nhu yếu phẩm. "Đây không chỉ là một cơn bão nữa", ông nói.
Nhà máy Fukushima Daiichi, vốn đã bị ảnh hưởng nặng nề bởi động đất và sóng thần năm 2011, nằm ở phía còn lại của Nhật Bản và được dự báo sẽ gặp mưa trong trường hợp xấu nhất. Mỗi năm Nhật Bản có khoảng 2 đến 4 cơn bão nhưng chúng thường không xảy ra vào tháng 7.
Yên Yên
