Đỗ Thị Thảo
Cập nhật các bài viết mới nhất
Danh sách bài viết
Rơi trực thăng ở Malaysia: Đã nhận dạng thi thể 2 quan chức
05-04-2015 | 15:37
Công tác nhận dạng thi thể của các nạn nhân trong vụ rơi máy bay trực thăng ở Malaysia hôm 4/4 đã được hoàn thành, trong đó có hai người là quan chức cấp cao của Malaysia.
05-04-2015 | 15:30
Giỗ tổ Hùng Vương 2015 không nhận lễ vật mang tính kỷ lục
05-04-2015 | 15:18
Cãi nhau với vợ cũ, chồng đổ xăng đốt con gái 7 tuổi
05-04-2015 | 14:55
Clip cảnh sét đánh trúng hai máy bay ở Mỹ
05-04-2015 | 14:51
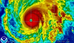
Tối nay, bão Maysak giật cấp 10 đổ bộ vào biển Đông
05-04-2015 | 14:27
Tìm thấy 2.800 mảnh thi thể vụ rơi máy bay Germanwings
05-04-2015 | 14:13
Bị "chôn sống" vì ngăn cản thi công Quốc lộ 1A
05-04-2015 | 14:03
Bà bán hoa "ôm" 4,7 tỷ đồng và 30.000usd bỏ trốn
04-04-2015 | 21:20
Xôn xao clip mua dâm của cán bộ tòa án
04-04-2015 | 21:00
Xôn xao cán bộ tòa án mua dâm bị quay clip
04-04-2015 | 20:59
Nhà ngoại cảm Trần Thịnh: "Thuốc giấu" như một cách tự kỷ ám thị
04-04-2015 | 20:46
Xe đầu kéo tông xế hộp, 5 người trên xe la hét kêu cứu
04-04-2015 | 20:20
Bão Maysak: Bão giật cấp 14 chuyển hướng vào biển Đông
04-04-2015 | 19:38
Tài xế taxi trả lại khách quên điện thoại "khủng" giá 800 triệu
04-04-2015 | 19:36
Học sinh lớp 6 nghi mất tích bí ẩn: Thông tin từ cuộc gọi lạ
03-04-2015 | 21:06
Truyện cổ tích "Sọ Dừa" thành "sọ người": Phạt 45 triệu đồng
03-04-2015 | 20:21
Ký ức Giang hồ Sài thành Kỳ 6: Năm Cam và món nợ ân tình
03-04-2015 | 20:01
Bão Maysak: Công điện khẩn đối phó cơn bão gần biển Đông
03-04-2015 | 19:58
Nhân viên Vietjet Air từ chối hành khách khuyết tật bị phạt 5 triệu
03-04-2015 | 19:24
Chủ quán karaoke tiết lộ học sinh hút Shisha rất nhiều
03-04-2015 | 19:21
Nữ sinh đánh nhau ở Cà Mau: Gia cảnh éo le, tình cảm lạnh nhạt
03-04-2015 | 19:18
Vietjet Air từ chối chở người khuyết tật: Hành khách rơi nước mắt lên tiếng
03-04-2015 | 16:19
Trung Quốc: Bùng nổ dịch vụ mai mối dành cho nữ triệu phú
03-04-2015 | 15:58
Điểm tin nóng ngày 3/4: VietJet từ chối vận chuyển khách khuyết tật
03-04-2015 | 15:13
Siêu bão cực mạnh Maysak có khả năng đi vào biển Đông
03-04-2015 | 14:50
"Đại gia" kể chuyện khai quật kho báu và tai ương do…"thánh vật"
03-04-2015 | 14:44
Clip: Trực thăng rơi vào nhà dân, 4 người chết
03-04-2015 | 14:28
Ô tô bốc cháy dữ dội sau khi gây tai nạn rồi bỏ chạy
03-04-2015 | 14:06
Ô tô bốc cháy khi trốn khỏi hiện trường tai nạn
03-04-2015 | 13:56
Vụ xe biển xanh gây tai nạn: Phó Chủ tịch LĐLĐ tỉnh Phú Thọ ngồi trong xe
03-04-2015 | 13:39
Xe biển xanh gây tai nạn, 5 học sinh thương vong: Phó chủ tịch LĐLĐ trong xe