Tối ngày 23/10 (giờ địa phương), siêu bão Patricia, một trong những cơn bão mạnh nhất từng được ghi nhận ở Đông Thái Bình Dương, đã đổ bộ Mexico với sức gió lên đến 265 km/h.
[mecloud]PrUf7vYKA3[/mecloud]
Theo Telegraph, Trung tâm Bão Quốc gia Mỹ cho biết cơn bão cấp 5 có vận tốc gió 265 km/h hiện đang chạy dọc theo bờ biển từ phía tây nam Mexico đến vùng tây - tây bắc Manzanillo, Mexico. Các làng chài nhỏ nằm trong đường đi của bão Patricia sẽ phải đối mặt với sức gió lên đến 321km/h và mưa rất lớn.
![]() |
Hình ảnh bão Patricia nhìn từ Trạm Vũ trụ Quốc tế. Ảnh: Twitter. |
Nên đọcCục khí tượng thủy văn Mexico cho biết, tâm bão có bán kính rộng 10km, hậu quả sắp tới do bão Patricia đem tới có lẽ sẽ rất nghiêm trọng, có thể so sánh ngang với siêu bão Hải Yến (Haiyan) trong năm 2013. Dự kiến sẽ có lũ lụt, lở đất, sóng thần xảy ra trong thời gian tới.
Chính phủ Mexico đã ban bố tình trạng khẩn cấp và nhanh chóng thiết lập các biện pháp tránh bão, đặc biệt là tại các bang Jalisco, Colima, Michoacan, Guerrero và Nayarit. Theo đó, hàng nghìn chỗ ở đã được chuẩn bị, 50 nghìn nhân viên cứu trợ sẵn sàng ứng cứu và 4.000 binh sĩ hải quân Mexico đã được triển khai.
Đích thân Tổng thống Mexico Enrique Pena Nieto đã đăng thông báo lên mạng xã hội Twitter yêu cầu người dân không nên ra khỏi nhà, tự bảo vệ bản thân theo hướng dẫn của cơ quan thẩm quyền địa phương. Các quan chức Mexico và Mỹ cho hay cơn bão có thể gây thảm hoạ
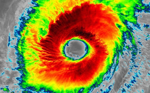
![]() |
Hình ảnh mắt bão Patricia. Ảnh: NASA. |
Trước đó, ông Roberto Ramirez, lãnh đạo cơ quan phụ trách về nước của liên bang Mexico cho biết, khoảng 15.000 khách du lịch trong nước và nước ngoài đã được sơ tán khỏi Puerto Vallarta.
"Cơn bão này là nỗi lo ngại lớn. Chúng tôi biết nó có thể phá huỷ bất cứ thứ gì trên đường đi của nó", Patricio Flores, một quan chức công đoàn tại Jalisco.
Những cơn gió bão đủ mạnh để "đưa máy bay lên không trung và khiến nó tiếp tục bay", BBC dẫn lời phát ngôn viên Tổ chức Khí tượng Thế giới Claire Nullis cho biết.
"Nhưng một điều chắc chắn là chúng ta đang đối mặt với cơn bão chúng ta chưa bao giờ chứng kiến", Tổng thống Mexico Pena Nieto trả lời phỏng vấn đài phát thanh địa phương. Tổng thống Mỹ Barack Obama cho biết nước này sẵn sàng hỗ trợ Mexico.
Lê Huyền (tổng hợp)


