Bác sĩ Ấn Độ đăng ảnh đầm đìa mồ hôi sau bộ đồ bảo hộ, cầu xin người dân hợp tác chống dịch
02-05-2021 | 09:41
Bức ảnh chụp một bác sĩ Ấn Độ đầm đìa mồ hôi sau khi cởi bộ đồ bảo hộ trong lúc điều trị cho bệnh nhân Covid-19 đang được chia sẻ rầm rộ trên mạng xã hội.
25-04-2021 | 13:29
Người đàn ông 4 lần làm đám cưới trong 37 ngày để được nghỉ phép có lương
24-04-2021 | 19:09
Cụ bà 88 tuổi mang 19 tỷ dành dụm cả đời xây 'cung điện' to nhất làng
24-04-2021 | 18:18
Quân đội Indonesia tìm thấy mảnh vỡ từ chiếc tàu ngầm bị chìm dưới biển Bali
23-04-2021 | 21:24
'Vua trốn việc' sa lưới sau khi nhận lương 15 năm mà không đi làm ngày nào
23-04-2021 | 14:54
Phát hiện hành tinh giống Trái đất đến khó tin
23-04-2021 | 10:20
Lật sàn nhà phát hiện ngôi mộ cổ 1000 năm nằm bên dưới
23-04-2021 | 10:17
'Cơn mưa thịt' gây chấn động nước Mỹ đã có lời giải thích hợp lý
23-04-2021 | 10:17
Thị trấn xa hoa nhất thế giới, nơi người dân lái máy bay đi ăn sáng
19-04-2021 | 17:01
6 thành phố có giá nhà rẻ như cho, có nơi còn treo thưởng mời người đến ở
19-04-2021 | 09:48
Thành tích bất hủ của thần đồng gốc Việt sắp bị trục xuất vì quá thông minh
18-04-2021 | 11:56
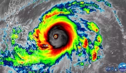
Siêu bão khổng lồ, mạnh gần bằng Siêu bão Haiyan tiến sát Philippines
17-04-2021 | 20:30
Cô gái muốn kiện công ty xổ số vì trúng độc đắc khi mới 17 tuổi
14-04-2021 | 19:19
Một bãi biển Việt Nam lọt top đẹp nhất thế giới
14-04-2021 | 10:11